의료진소개
오시는 길
카톡상담
유튜브

top
TOP
상담
0%
ue plastic surgery clinic
금일 진료시간 (월요일)     AM 10:00 ~ PM 19:00     진료 종료  

Notice
x

팝업레이어 알림

팝업레이어 알림이 없습니다.
진심을 - 다합니다.
고유한 아름다움과 보편적인 아름다움
균형을 찾아가는 여정 입니다.
진짜 - 맞춤 성형
한 사람을 끝까지 책임지는,
공감과 신뢰의 성형외과 유이성형외과 입니다.
01
02
03
ue plastic surgery
uniquely yours,
당신의 유일한 아름다움,
by ue
유이성형외과 입니다.
ue plastic surgery clinic : ue plastic surgery clinic
내일의 내일을 보다 아름답게,
one and only
건강하고 오래 지속되는 아름다움을 지향하는
하나뿐인 당신을 위한 준비
당신만 바라본 그간의 여정의 결과물
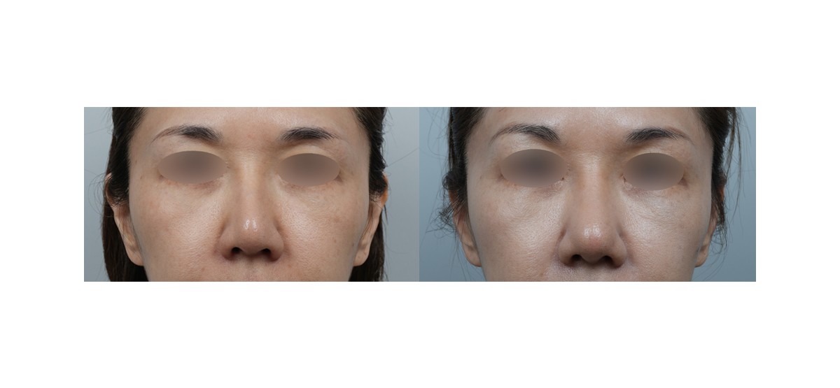
BEFORE & AFTER
리프팅
안면거상 재수술 + 목주름거상술
2026.05 20
처진 눈 성형
이마거상술 + 하안검 재수술 + …
2026.05 20
처진 눈 성형
이마거상술 + 하안검 + 중안면부…
2026.05 18
처진 눈 성형
하안검재수술 + 중안면부리프팅 +…
2026.05 12
처진 눈 성형
하안검 + 중안면부리프팅
2026.05 12
처진 눈 성형
눈밑지방재배치
2026.05 12
처진 눈 성형
이마거상술 + 눈썹하거상술
2026.05 12
처진 눈 성형
하안검 + 중안면부리프팅
2026.05 12
처진 눈 성형
이마거상술 + 절개눈매교정 + 하…
2026.05 08
처진 눈 성형
눈썹하거상술 + 하안검 + 중안면…
2026.04 29
처진 눈 성형
이마거상술 + 하안검 재수술 + …
2026.05 20
처진 눈 성형
이마거상술 + 하안검 + 중안면부…
2026.05 18
처진 눈 성형
하안검재수술 + 중안면부리프팅 +…
2026.05 12
처진 눈 성형
하안검 + 중안면부리프팅
2026.05 12
처진 눈 성형
눈밑지방재배치
2026.05 12
처진 눈 성형
이마거상술 + 눈썹하거상술
2026.05 12
리프팅
안면거상 재수술 + 목주름거상술
2026.05 20
리프팅
하안면부 리프팅
2026.03 20
리프팅
하안면부리프팅 + 목주름리프팅
2026.03 17
리프팅
미니 스마스리프팅
2026.03 10
리프팅
미니스마스리프팅 + 얼굴지방흡입 …
2026.02 10
리프팅
더블타이트 + 쥬베룩스킨 4CC …
2026.02 03
눈성형
뒤트임 + 밑트임 + 울쎄라피 프…
2026.04 07
눈성형
비절개눈매교정
2026.04 06
눈성형
절개눈매교정 + 뒤트임 + 밑트임
2026.03 25
눈성형
절개눈매교정 재수술
2026.03 24
눈성형
비절개눈매교정 + 뒤트임 + 밑트…
2026.03 23
눈성형
밑트임 + 뒤트임
2026.03 10
코성형
절개눈매교정 + 뒤트임 + 밑트임
2026.03 30
코성형
코끝성형 + 비순각교정
2025.12 05
코성형
코 재수술(비주지지+ 비주내리기+…
2025.09 17
코성형
코성형 ( 콧대 + 길이연장 + …
2025.09 04
수술/시술 후 출혈, 감염, 염증 등 일반적으로 발생할 수 있는 합병증은
개인에 따라 정도의 차이가 있을 수 있으므로 주의를 요합니다.
내일의 내일을 보다 아름답게,
ue story
건강하고 오래 지속되는 아름다움을 지향하는
유이의 이야기를 만나보세요.
View → more +
써마지
고주파 에너지를 정교하게 피부 진피층에 방사하여, 콜라겐의 재생 및 수축을 통해 주름개선 및 스킨타이트닝, 리프팅 효과를 기대할 수 있는 시술
써마지
고주파 에너지를 정교하게 피부 진피층에 방사하여, 콜라겐의 재생 및 수축을 통해 주름개선 및 스킨타이트닝, 리프팅 효과를 기대할 수 있는 시술
써마지
고주파 에너지를 정교하게 피부 진피층에 방사하여, 콜라겐의 재생 및 수축을 통해 주름개선 및 스킨타이트닝, 리프팅 효과를 기대할 수 있는 시술
써마지
고주파 에너지를 정교하게 피부 진피층에 방사하여, 콜라겐의 재생 및 수축을 통해 주름개선 및 스킨타이트닝, 리프팅 효과를 기대할 수 있는 시술
써마지
고주파 에너지를 정교하게 피부 진피층에 방사하여, 콜라겐의 재생 및 수축을 통해 주름개선 및 스킨타이트닝, 리프팅 효과를 기대할 수 있는 시술
써마지
고주파 에너지를 정교하게 피부 진피층에 방사하여, 콜라겐의 재생 및 수축을 통해 주름개선 및 스킨타이트닝, 리프팅 효과를 기대할 수 있는 시술
써마지
고주파 에너지를 정교하게 피부 진피층에 방사하여, 콜라겐의 재생 및 수축을 통해 주름개선 및 스킨타이트닝, 리프팅 효과를 기대할 수 있는 시술
써마지
고주파 에너지를 정교하게 피부 진피층에 방사하여, 콜라겐의 재생 및 수축을 통해 주름개선 및 스킨타이트닝, 리프팅 효과를 기대할 수 있는 시술
REAL REVIEW
솔직한 유이성형외과 후기들을 확인해보세요
EVENT
최신 소식들을 한눈에 확인해보세요

티 안 나는 눈 변화를 원한다면,…

티 안 나는 눈 변화를 원하시나요? …

14년 차 성형외과 전문의가 뽑은…

오늘은 트로트 스타들의 얼굴 변화가 …

성형외과 상담 무섭다면? 진료부터…

성형외과 상담 및 시술이 처음이라면.…

눈썹하거상 하면 인상 사나워진다?…

눈썹하거상의 오해와 진실! ✔️…

14년 차 성형외과 전문의가 분석…

오늘은 2026년 BTS 컴백 기념으…

"쌍수 안 했는데 쌍꺼풀이 생겼다…

쌍꺼풀 라인, 왜 갑자기 변할까? …

밉지않은 관종언니가 받은 실리프팅…

실리프팅, 진짜 효과가 있을까? …

의사 생활 13년, 병원 개원 1…

2025년, 개원 첫 해는 과연 어땠…

"20, 30대도 안면거상 해도 …

안면거상술, 아직도 '50대 이상'만…

연예인도 피하지 못한 성형 부작용…

연예인들도 피하지 못한 성형 부작용,…

쌍꺼풀 없이 눈 키울 수 있을까?…

쌍커풀 없이 눈을 키우고 싶다고요? …

성형외과 원장들이 솔직하게 밝히는…

와인 한잔에 녹아든 '진짜' 성형외과…

레이저 리프팅, 실리프팅, 안면거…

다 같은 리프팅인 거 같은데... 뭐…

사진 찍을 때 마다 멘붕 오는 사…

사진만 찍으면 실물보다 못 나오는 이…

'30대 넘으면 무조건 피부 쳐집…

요즘 같은 환절기, 피부가 쉽게 건조…

"이거 보이면 무조건 사세요!" …

성형외과 원장이 다이소에서 직접 사는…

'나만 늙어 보이는 것 같다고요?…

혹시 브래드 피트가 20년 젊어진 이…

'이마 보톡스 맞고 시야가 흐릿해…

이마 주름, 단순히 보톡스로 해결된다…

"50대, 60대 이 성형하면 1…

"우리 부모님, 정말 10년은 젊어질…

'케데헌' 캐릭터 얼굴 순위는? …

'케데헌' 캐릭터 얼굴, 현실에서도 …

*영어 더빙 시청방법: ‘유이선생‘ 유튜브 영상 재생>설정>오디오 트랙(Audio Track)>자동 더빙(Auto-dubbed)>영어(English) 선택
interior
내부시설 안내
유이성형외과는 모든 공간을 안락하고,
편안하도록 세심하게 디자인 했습니다.
물리치료
병원로비
깨끗하고 아늑한 공간에서 편안하게 진료받을 수 있습니다.
언어치료
대기실
깨끗하고 아늑한 공간에서 편안하게 진료받을 수 있습니다.
작업치료
파우더룸
깨끗하고 아늑한 공간에서 편안하게 진료받을 수 있습니다.
음악치료
상담실
깨끗하고 아늑한 공간에서 편안하게 진료받을 수 있습니다.
그룹치료
진료실
깨끗하고 아늑한 공간에서 편안하게 진료받을 수 있습니다.
01 병원로비
02 대기실
03 파우더룸
04 상담실
05 진료실
APPOINTMENT 예약상담 / 오시는 길
서울시 강남구 강남대로 616 신사미타워 16층 주소 복사
02-516-6160
HOURS 진료시간 안내
진료안내
월        금  
오전 10:00 - 오후 19:00
토    요    일  
오전 09:30 - 오후 15:30
일요일, 공휴일은 진료하지 않습니다.
PARKING 주차안내 (건물 뒷편 발렛 가능)
오시는 길
서울시 강남구 강남대로 616 신사미타워 16층
유이성형외과의원
카카오
지도
구글
지도
'수술 후 출혈, 감염, 염증 등의 합병증이 있을 수 있으며 주관적인 만족도는 개인마다 차이가 있을 수 있으므로 의사와 상의하시기 바랍니다.'
로고

로그인